Midwest Real Estate & Equipment Specialists.
Shelby County, Missouri
Productive Tillable Land
Excellent Investment Opportunity
Offered in 3 Tracts




Bigelow and Echternacht Farm
240± Acres Offered in 3 Tracts
Thursday, March 26, 2026 at 6pm
Held at American Legion Hall, 520 East Maple St., Shelbina, MO 63468
Property Location: Tracts 1 & 2: West of Shelbyville, MO. Directions: Take Highway K West from Shelbyville, MO approximately 7.5 miles to Shelby 217 for Tract 1 and 2
Tract 3: Take Highway K West from Shelbyville, MO approximately 6.5 miles to Highway N, then take Highway N south approximately 2.0 miles to Shelby 316, then take Shelby 316 east approximately 1.5 miles to Tract 3
Peoples Land Co, LLC is honored to offer the Bigelow Trust and Echternacht Farm for sale at public auction. The sale will be held at the American Legion Hall located at 520 East Maple St., Shelbina, MO 63468 on March 26, 2026 at 6:00 p.m. This is an outstanding farm that has been in the family for decades and has been cared for and farmed at a high level for many years. Farms in this area are hard to come by and here is the perfect opportunity for a great investment or to expand a farming operation. The tracts are in two locations and is a perfect offering for multiple buyers. The farm will be sold as 3 tracts using the buyers choice method. The tracts consists of the following:
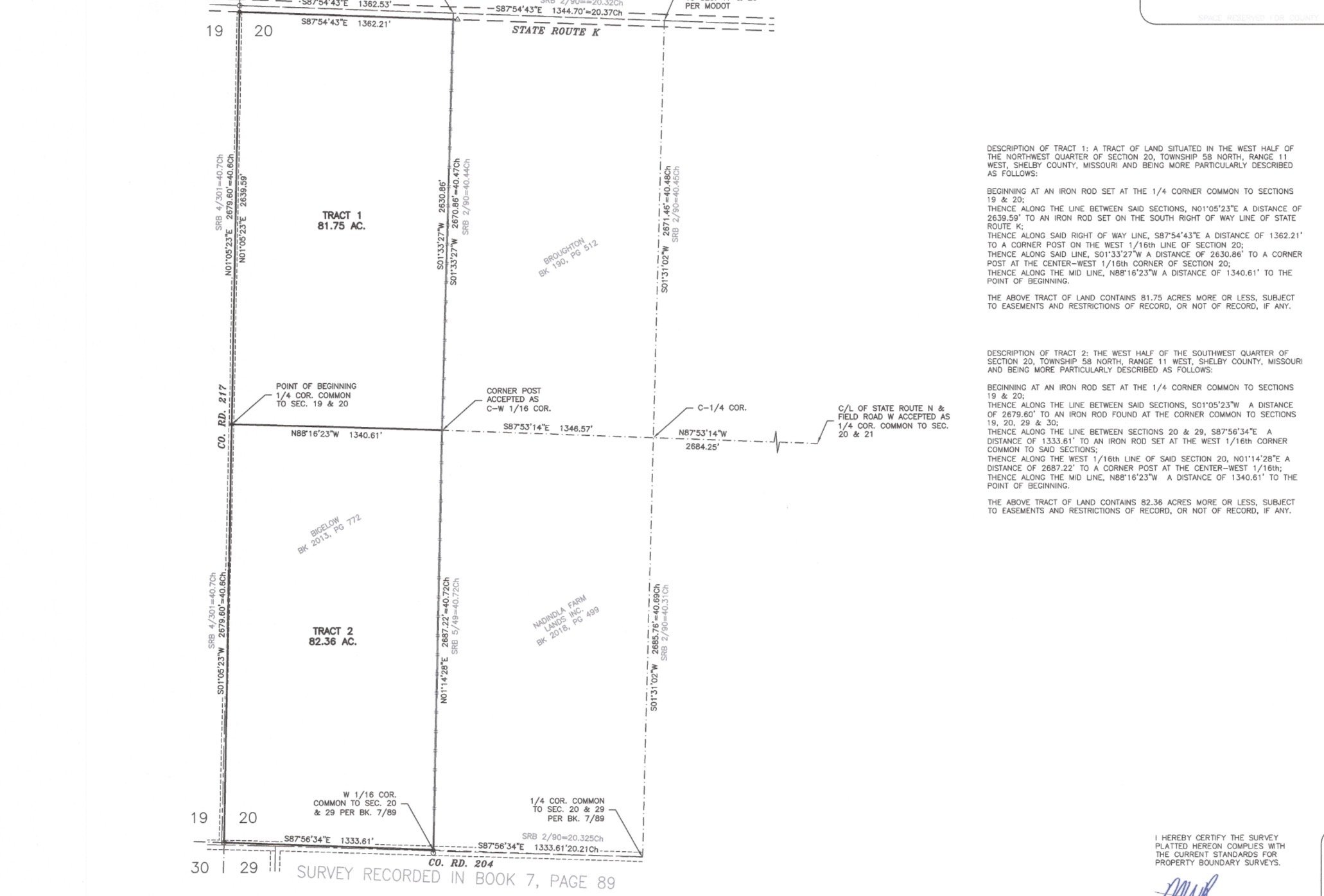
Tract 1: Consists of 80 acres m/l (subject to final survey) with 60 m/l FSA tillable acres making it 75% tillable. The balance is made up of maintained waterways and brushy draws. It has highway frontage along Highway K and county road frontage along Shelby 217. Soil types consist predominantly of productive Leonard, Mexico, or Armstrong soils.
Tract 2: Consists of 80 acres m/l (subject to final survey) with 70 m/l FSA tillable acres making it 87% tillable. The balance is made up of maintained waterways and a brushy draw. It has county road frontage on two sides along Shelby 217 and Shelby 204. Soil types consist predominantly of productive Leonard, Mexico, or Armstrong soils.
Tract 3: Consists of 80 acres m/l (subject to final survey) with 76 m/l FSA tillable acres making it 95% tillable. The balance is made up of maintained waterways and brushy draws. It has county road frontage along Shelby 316. Soil types consist predominantly of productive Mexico, Chariton, or Auxvasse soils.
Auction Managers: Scott Gander 660-676-1479 & Anthony Peoples 660-651-6501
CLOSING AND TITLE INSURANCE: Monroe County Abstract & Title, 229 North Main St., Paris, MO 65275
***All locations and boundaries shown on maps are thought to be accurate but are not exact. Farm will be sold as-is with no warranties given or implied.
10% OF BID PRICE TO BE PROVIDED AS DOWN PAYMENT AUCTION DAY.
SALE IS NOT CONTINGENT UPON FINANCING.
CLOSING TO BE ON or before APRIL 30, 2026
TAXES TO BE PRORATED TO CLOSING
TITLE INSURANCE FOR THE OWNER’S TITLE COMMITMENT POLICY WILL BE PAID BY THE SELLER. ALL OTHER TITLE INSURANCE COSTS ASSOCIATED WITH THE BUYER WILL BE PAID BY THE BUYER.
CLOSING COSTS AND COST TO CONDUCT CLOSING WILL BE SHARED BY BUYER AND SELLER 50/50.
BUYER TO PAY ALL RECORDING FEES.
ALL TRACTS WILL BE SOLD AS-IS WITH NO WARRANTIES GIVEN OR IMPLIED.
ALL MAPPING LINES AND BOUNDARIES ARE THOUGHT TO BE ACCURATE BUT ARE NOT EXACT.
ALL ANNOUNCEMENTS ON SALE DAY TAKE PRECEDENCE OVER ANY ADVERTISING.
ADDITIONAL TERMS: Seller to allow buyer the right to perform field work prior to closing once buyer has provided the 10% down payment and provided seller with proof of liability insurance covering subject property.
ACCEPTANCE OF BID PRICES: Successful bidder(s) will be required to enter into a purchase agreement at the auction site immediately following the close of the auction. Successful bidders must execute purchase agreements on tracts exactly as they have been bid. If a bidder is awarded multiple tracts, such tracts will not be split in separate purchase agreements at the close of the auction. All final bid prices are subject to the Seller's acceptance or rejection.
PROPERTY INSPECTION: Each potential Bidder is responsible for conducting, at their own risk, their own independent inspections, investigations, inquiries, and due diligence concerning the property. Further, Seller disclaims all responsibility for Bidder's safety during any physical inspection.
TECHNICAL ISSUES: In the event there are technical difficulties related to internet bidding, software, internet or any other online auction-related technologies, Peoples Land Co, LLC reserves the right to extend bidding, continue the bidding, or close the bidding. Neither the company providing the software, Peoples Land Co, LLC shall be held responsible for failure of bidding software, Internet connection or missed bids.
80 Acres +/-
80 Acres +/-
80 Acres +/-